|
Back to T of C or Back to November 2015
|
December 2015 | Ahead to January 2016 |
| December 4, 2015 | I
am in the Bahamas! To be sure I would be in the Abacos for my kids at
the beginning of January I grabbed a weather window to cross the Gulf
Stream on 12/2/2015. In the best of times these opportunities come
about once every week. At the worst of times, like the past month, it
may be weekS before the wind goes enough south to be able to get
across. At present I am at Green Turtle Cay, 150 miles east of the Palm
Beaches. The original settlers were loyalists who fled the terrorists
of the American colonies who were rising up against the English King.
There are some bronze plaques in the town sculpture garden which give
an interesting interpretation of the American Revolution. The loyalists
brought along people of color. If you believe the plaques those people
came willingly and of their own free will. | |
| December 6, 2015 | Green Turtle Cay ![]() | ![]() In a previous photo I said a driver and a free diver work each skiff. Out on the fishing grounds Early in the season sheets of wood or corrugated metal sheets are put on top of cinder blocks on the bottom with a weight on top. These are examples right in New Plymouth harbor. The lobster 'hide' under the sheets. The guys in the skiff go out from the big boat each day and visit the traps. The diver swims to the bottom and brings up the catch. In some parts of the Bahamas the fisherman with lesser resources use traps or pots more like those used in New England |
![]() | This is one of the local lobster boats. They go out for weeks at a time. You can see two of the 4-6 skiffs that they tow out to the fishing grounds. A driver and a free diver work each of the little boats. The thing that looks like a crane is an outrigger from which they drop a 'bird' in the water while underway. There is a matching outrigger on the other side of the boat. When the birds are in the water they reduce the roll in rough seas. | |
![]() I like this Plymouth Rock at least as much as the other one I visited in Massachusetts during the summer | ![]() Admonition at the ferrry dock | |
![]() | Da Beach ![]() | |
The sea wall near Da Beach ![]() | ![]() In spite of the bronze plaques on the base of this sculpture attributed to Sandra Riley, we have the following: "When emancipation was proclaimed in 1834 there were about 300 slaves and 16 liberated Africans on Green Turtle Cay out of total population of 800, and a total Abaco population of 1800," Williams said. "We don't have any information about free blacks at this time, but there were 39 family head applications for land on the cay in 1835. The cost of quarter-acre town lots and 5-acre provision grounds for these former slaves was about 10 days labour laying out roads for the settlement." Be that as it may, I have found race relations in the Bahamas to be quite good. nonetheless, a couple of communities remain essentially segregated; Man O'War Cay and Spanish Wells. Based on casual observation, the greatest miscegenation has been on Long Island | |
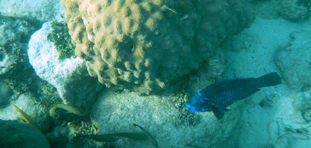
| December 13, 2015 | A visit to Mermaid Reef, one of several protected reefs around the Sea of Abaco | |
| A walk around the environs of Marsh Harbour | ||
| Beach restoration at the Crossing near Marsh Harbor and scenes around town. | ![]() | |
![]() | ![]() | |
![]() | ![]() | |
| December 15, 2015 | En route from Tilloo to Hope Town | ![]() Castle Keep |
| This schooner was just pulling out of the Tilloo Bank anchorage as I was pulling in. Looked like they were headed for Lubbers Quarter toward Hope Town. Wonder if they know how shallow it is at the north end of Lubbers? Not my monkey, not my circus | ![]() | |
| December 15 Hope Town | From
both sides now: one view of the Hope Town Lighthouse from the deck of
Andante and on the other side from inside Hope Town Harbour. The very
first picture is the estate of an inventor -- orthopedic surgeon. Note
the castle keep. Also on the grounds is a building with a ramp to the
water and huge garage door so he can get his sea plane out of the
weather. Other pictures are a few of the many rental cottages, some
detail from the memorial garden, a bit of history, the school and the
Hope Town waterfront | |
| December 15, 2015 | First visit to Hope Town ![]() At the entrance to Hope Town | ![]() Hope Town Elementary Shocol |
![]() | ![]() | |
![]() | ||
![]() | ![]() | |
![]() | ![]() | |
![]() | ![]() | |
![]() | ||
| December 19, 2015 | ![]() |
On Andante I have two 12v battery banks. Think of this as two reservoirs of electricity from which the boat's appliances are powered. The reservoirs are refilled by my solar panels and/or wind turbine. Down the left edge of the photo are the three instruments that keep track of what is going on with the electrical system. The top display showing 13.5 and a single green light is the solar panel controller. The number, 13.5, is the voltage being applied across the poles of the house battery bank. Think of it as the pressure being applied to push electrons, or amps, back into the batteries. The display below it, showing 1.8, tells me that 1.8 amperes per hour are going into the house bank. Finally, the analog display at the bottom shows that at the instant the picture was taken the wind turbine was not supplying any amperes to the system. At noon On a sunny day my solar panels will show a voltage of 14.4v and be putting out about 14 amperes per hour. When I took the picture it was 10 AM on a cloudy day and the batteries were almost fully charged, hence both the voltage and ampere numbers are quite low. How does it happen that my batteries are fully charged by 10 AM on a cloudy day? Some big wind came in about midnight, powering the turbine. When I looked at the displays this morning the turbine was applying 14.4 volts to the batteries and pumping out 10-12 amps per hour while the solar panels were doing almost nothing. Those are big numbers for my little turbine, and that's a lot of wind even for the Bahamas. |
| December 21, 2015 | ![]() |
Life on a cruising boat starts at 6 AM with coffee, then weather on the shortwave radio at 6:30 AM with Chris Parker. He bases his forecast on the GFS (NOAA) model and the EURO (German) model! plus his years of experience in these waters. It takes him about 1/2 hour to do his routine Consisting of an overall synopsis then 4-5 days of detail for four sections of the Bahamas. Among cruisers he has God-like status. Among users of his service are the masters of Ocean Energy and Lady Marie. Ocean Energy is a fuel ship delivering diesel and gasoline throughout the Bahamas. He is in a different port nearly every day, returning to near Nassau to reload nearly every week. Lady Marie is a lobster boat known to all the cruisers that visit the Jumentos Cays. Captain George must know the weather to keep his boat and crew in small runabouts safe. If Parker is good enough for them he is sure good enough for me. This year forecasting is a little harder. When I arrived on the Little Bahama Bank and the Sea of Abaco there was a low pressure trough that sat on top of the area for a week; very unusual. Now there is a subtropical high pressure ridge sitting on top of us since last Friday and expected to remain until nearly 1/1, bringing us VERY brisk winds; very unusual. The usual pattern is that the ridges and troughs move through in a weekly cycle. The weather determines where and when we sail and how we schedule mundane tasks like getting fuel, water, groceries and laundry |
December 23, 2015 |
Great Guana Cay |
![]() Even paradise has its downside. This tree is like poison ivy or poison sumac on steroids. The antidote is a tea steeped from the bark of a tree that is very similar in appearance |
![]() Grounds of Grabbers |
![]() Nippers has two pools and seating that overlooks the beach and reefs on the Atlantic Ocean |
|
![]() Grabbers is a mini resort on the beach at Fishers Bay | ![]() This says a lot about the crowd that hangs out at Nippers | |
Welcome ![]() | ||
December 24, 2015 |
![]() |
It is Christmas Eve on Andante. Merry Christmas to friends and family around the world (Venezuela, New Zealand, China, Europe, Japan, you get the idea). May peace be with you. I have strung lights across the stern of Andante so that Santa can find me and bring me a small piece of the peace that I have wished for you all. With any luck, in the parlance of economists (and I are one), peace is a pure public good which can be consumed by all of us with no diminution of the quantity supplied |
| December 25 | Merry Christmas | ![]() |
December 27
| ![]() | ![]() |
![]() | ![]() | |
December 29, 2015 | A revisit to Elbow Cay for those needing a lighthouse fix. | |
![]() On the porch of the Hope Town Museum | ![]() Like many groceries in the out islands of the Bahamas this one is about 1/10 the size of what North Americans think of as a grocery. | |
![]() Handle on the access door at the top of the lighthouse | ![]() Andante riding at anchor on the west side of Elbow Cay below the lighthouse. | |
![]() Hope Town Harbour. This is not someplace to swim, that is why I am anchored outside | ![]() One of the two reservoir and pump mechanisms that feed kerosene to the light. Only one because some brain dead tourists were trying to walk into my picture. | |
![]() A dizzying view of the lighthouse rigged with strings of lights for Christmas. | First lobster of the season with the help of Kathy and Jofn on Makani. Three of us to get this one little lobster? John got us to the reef. Kathi speared it. I reached into its lair to pull it out so it wouldn't wriggle off the spear. | |
| December 30, 2015 | Well, I got tired of being shaken and stirred by every
mother's son and his children's in laws who rented a cottage and
go-fast power boat on Elbow Cay. Every one of them felt compelled to
roar by my anchorage at least four times each day between the hours of
7:30 AM and 7:30PM. Made the long sail of 5 miles down to another
anchorage just south of Tilloo Cut. Within 10 minutes two of them
showed up to anchor next to me and quaff their first brewskis while
their kids shrieke. They're gone now. While they were disturbing the
neighborhood I took the dinghy over to Lubbers Landing and Cracker P's;
two beach side bar and grills right next to each other that can only be
reached by boat. Now I know where all the maniacs roaring by me at
Elbow Cay were headed. |
|
![]() |
![]() |
|
![]() | ![]() | |
![]() | ||